L’ouragan Dorian, qui déferle depuis le 24 août 2019 au large de l’archipel des Bahamas et se dirige lentement vers la côte des États-Unis, a déjà fait sept morts, selon un bilan provisoire. Les autorités bahamiennes craignent que celui-ci s’alourdisse.
De nombreuses vidéos montrent les dégâts causés par le passage de l’ouragan, des dommages «sans précédent» comme les a qualifiés le Premier ministre bahamien, Hubert Minnis.
L’île Great Abaco dévastée
This aerial footage of the Bahamas shows the destruction from Hurricane Dorian on Great Abaco Island https://t.co/Xck1MvkRsV pic.twitter.com/ssnfL7U9qd
— Bolaji (@Kuits234) September 4, 2019
First aerial footage coming out of the #Bahamas. This is #Abaco. The U-S Coast Guard is there assessing the damage. #hurricanedorian#Freeport #HurricaneDorain #GrandBahamaIsland #PrayForTheBahamas #Dorian #Dorian2019 #Florida #Freeport #hurricandorian2019 #BAHAMASTRONG pic.twitter.com/yy52wzeQnW
— Feliz Karen News (@felizkrennews) September 3, 2019
The first aerial footage out of the Bahamas since Hurricane Dorian hit shows the "unprecedented" destruction the storm left in its wake. Follow live updates: https://t.co/F5GA8qjsHe pic.twitter.com/otgTczbwJT #news #breakingnews
— Rik Knives (Riki) (@rikknives) September 3, 2019
Listen to this pilot, flying over Abaco in the Bahamas, listing what’s “gone” because of Hurricane Dorian pic.twitter.com/MwhAeiI8cl
— David Begnaud (@DavidBegnaud) September 3, 2019
Sad RT @Livestormchaser: NEW: Aerial video from Marsh Harbor, Airport in Marsh Harbor, The Mudd, and Sandy Point airstrip in the Bahamas!
— Bettina Yah Yah Harrison (@Mz_Babii_Cake) September 4, 2019
Still more video to come. Stay tuned!
Permission/Submitted Terran K.#Dorian #HurricaneDorian @WeatherBug pic.twitter.com/CyqJeCKnYO
L’aéroport international avant, pendant et après
Voici à quoi ressemblait l’aéroport international de Grand Bahama avant le passage de l’ouragan, pendant, et à quoi il ressemble après.
This is what Grand Bahama International Airport looked like before and during Hurricane Dorian https://t.co/IujjAiVUNQ pic.twitter.com/g4wL3vlYTJ
— ดีงามพระราม8 (@abbear111) September 4, 2019
JUST IN: This is what’s left is the airport in #Freeport #GrandBahama. Photos by Zania Bowleg, sent in to our @JayCashmere. @WPTV #HurricaneDorian #Dorian pic.twitter.com/XkWo8hfVLC
— Merris Badcock (@MerrisBadcock) September 3, 2019
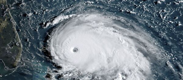
Avant/après depuis un satellite
Satellite Images Show Much Of Bahamas Under Water After Hurricane Dorian https://t.co/QoNR04agIg
— Hamilton Grant PC (@deandragrant) September 4, 2019
Images of extensive storm surge flooding #Bahamas #MarshHarbour & #GreatAbaco is already coming in from @NASA @NASAJPL satellite. Light blue areas show where flooding is likely the worst. Devastating. More on Hurricane Dorian @nbcbayarea 11 pic.twitter.com/B4a3Bj9DWv
— Jeff Ranieri (@JeffRanieri) September 4, 2019
Rétrogradé, mais potentiellement dangereux
Classé dans la catégorie maximale 5 dimanche 1er septembre quand il a frappé les Bahamas, l’ouragan a depuis faibli. Bien qu’il ait été rétrogradé tôt mercredi 4 septembre en catégorie 2, avec des vents pouvant atteindre 175 km/h, rapporte le Centre national des ouragans (NHC) américain basé à Miami, il reste dangereux.
L’ouragan Dorian a fait tomber jusqu'à 76 cm de pluie sur les Bahamas. À 03h00 GMT le 4 septembre, il se déplaçait vers le nord/nord-ouest à la vitesse de 130 km/h, selon le NHC, cité par l’AFP.
«Tragédie historique»
Le Premier ministre des Bahamas, Hubert Minnis, a évoqué lundi 2 septembre une «tragédie historique» pour cet archipel de 700 îles au relief très plat, facilement submergé par les vagues de trois à six mètres de haut charriées par l'ouragan. Les autorités ont annoncé le début des opérations de secours «là où les conditions le permettent».
À Washington, Donald Trump a réuni les responsables des services d'urgence, évoquant un ouragan qui «semble monstrueux». «Nous nous attendons à ce qu'une bonne partie de la côte soit impactée et une partie le sera très, très durement», a-t-il déclaré.
Le gouverneur de Caroline du Sud, Henry McMaster, a déclaré dimanche l'état d'urgence. «La force et le caractère imprévisible de la tempête nous obligent à nous préparer à tous les scénarios», a-t-il expliqué.

